投资59亿填海,对标裕廊岛,山东开启2000万吨炼化项目建设大幕
从2018年8月19日裕龙岛炼化一体化项目(一期)填海工程第一次环评公示,到2020年2月26日第二次环评公示,山东裕龙岛2000万吨炼化一体项目按下“快进键”。
2月12日,山东省人民政府关于下达2020年省重大项目名单的通知(鲁政字〔2020〕23号)公布,233个项目进入2020年山东省重大建设项目名单,列第1位的为裕龙岛炼化一体化项目(一期)。

项目投资“吨位”位列山东2020年重点项目名单第一!
环评公示显示,裕龙岛炼化一体化项目(一期)填海工程总投资58.68亿元,投资单位山东裕龙石化有限公司,与裕龙岛炼化一体项目同为一个投资主体。
裕龙岛炼化一体化项目(一期)拟建设2000 万吨/年原油加工能力,2套150万吨/年乙烯装置及配套聚乙烯、聚丙烯、芳烃等装置,参照浙江舟山浙江石油化工有限公司2000万吨炼油一体化项目投资额,预计项目建设投资近820亿元。

裕龙岛炼化一体化项目(一期)是以供给侧结构性改革为主线,按照“上大压小”方式推进山东省地方炼油企业产能整合建设的转型升级项目。据山东省有关部门公开资料,需要压减地方炼油产能至少2500万吨,折算购买整合产能资金近200亿元。
裕龙岛炼化一体化项目(一期)整合产能、填海及炼化项目投资将近1079亿元。
天眼查显示,山东裕龙石化有限公司成立于2019年6月28日,注册资本120亿元。股东分别为南山集团有限公司71%、万华实业集团有限公司20%、山东发展投资控股集团有限公司9%。

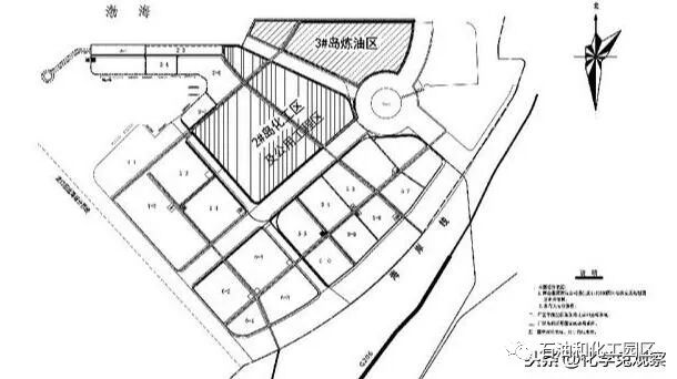
填岛环评公示的炼油及化工厂区布置图
南山集团始创于改革开放初期,经过 30 多年的艰苦拼搏,现已发展成为稳居中国企业500强前列的大型民营股份制企业。
万华实业集团有限公司由烟台国丰投资控股集团有限公司控股,与上市公司万华化学集团股份有限公司控股股东为同一企业。

山东发展投资控股集团有限公司为山东省省属国有企业,曾投资中国石化青岛炼油化工有限公司。
按照项目资本金30%计算,项目投资方需要资本金出资324亿元!
常务副市长亲自出任山东裕龙石化产业园管理委员会主任
2020年2月17日,烟台市举行山东裕龙石化产业园管理委员会、山东裕龙石化产业园发展有限公司揭牌仪式暨山东裕龙石化产业园管理委员会专题会议。

企查查显示,山东裕龙石化产业园发展有限公司2020年2月16日成立,注册资本100亿元,龙口市城乡建设投资发展有限公司控股40%,烟台国丰投资控股集团有限公司、南山集团有限公司各占30%股份,国资企业控股70%。
产业园采取国资企业控股70%、民企参股30%,裕龙岛炼化一体化项目则采取民企控股71%、国企29%,混合所有制方式得以完美应用。

从有关部门获悉,烟台市委常委、常务副市长王中已经出任山东裕龙石化产业园管委会主任,体现了省市各级地方政府对项目推进工作的高度重视,彰显了项目推进者的决心、信心。
重金揽才,前燕山石化董事长领衔
2019年6月26日,化工707发布裕龙岛炼化一体化项目招聘信息,开启了项目揽才新进程!
炼油项目部1名炼油项目部部长(总负责人)、2名副部长。化工项目部1名化工项目部部长(总负责人)、2名副部长。公用工程部1名公用工程部部长。乙烯丙烯项目部1名乙烯丙烯项目部部长。
至今,裕龙岛炼化一体化项目通过各种渠道公开招聘信息。

2020年2月9日,公众号石化缘科技咨询公布裕龙岛炼化一体化项目(一期)化工项目部招聘,涉及乙烯、UHMWPE、EVA/LDPE、AN、ABS、MMA 、PP、HDPE等多个装置的工艺、设备、安全工程师岗位,福利待遇涉及衣食住行等方方面面。
2018年4月27日,中国石化燕山石化召开干部大会,会议宣布罗强不再担任北京燕山石油化工有限公司董事会董事长、董事职务,不再担任北京燕山石油化工有限公司总经理职务。至此,裕龙岛炼化一体项目增加了一位重量级人物。
2019年6月28日,山东裕龙石化有限公司成立,罗强担任董事兼总经理。
重磅支持,中国版“裕廊岛”开启建设大幕!
2月11日上午,山东省委、省政府召开裕龙岛炼化一体化项目推进部署电视电话会议,对加快推进裕龙岛炼化一体化项目建设进行部署。省委书记刘家义出席会议并讲话,省委副书记、省长龚正主持。强化专班推进,压实工作责任,转变工作作风,密切配合、通力协作,克难攻坚、狠抓落实,裕龙岛炼化一体化项目实施的强大合力正在加速形成。

裕龙岛炼化一体化项目(一期)建设2000 万吨/年炼油,配套建设2套150万吨/年乙烯装置及配套聚乙烯、聚丙烯、芳烃等装置。相比国家七大石化基地的投产及拟建项目,2000万吨炼油配套300万吨乙烯产能,配置水平处于国际先进行列。
世界知名的裕廊岛 (Jurong Island) 是新加坡外海的人工岛,也是新加坡最大的外岛。裕廊岛是新加坡的炼油中心,裕廊岛总面积近32平方公里,通过填海造地七个小岛形成一个大岛,是世界著名的化学工业基地。

裕龙岛围填海工程于2011年初开工,至 2013 年底总长度120公里的围堤和施工通道全部完成,到2016 年9月完成填海工程量约2.99亿方,7个人工岛全部围成,3#岛填海形成陆域,2#岛大部分形成陆域,1#岛和5#岛部分形成陆域,部分尚未露出水面,浅水区的 4#岛、6#岛、7#岛大部分未露出水面,未露出水面部分水下回填高度不等的沙土、石料。

2#、3#岛吹填成陆实施后,投资1079亿元,未来一座2000 万吨原油加工能力的现代化石化产业城将在裕龙岛崛起。
据南山集团有限公司2019年公开发行公司债券(第一期)募集说明书介绍,裕龙岛前身“龙口湾临港高端制造业聚集区项目”,2010 年 12 月由龙口市政府出具《龙口市政府关于委托南山集团有限公司承建龙口湾临港高端制造业聚集区一期(龙口部分)填海工程及配套设施的函》,委托南山集团有限公司承担该项目的规划、建设、开发等,南山集团可对外开展投融资、规划、建设、开发、招商等事宜,是我国目前获准建设的最大海上人工岛。
10年之后,裕龙岛开启新篇章。裕龙岛一开始就注定了要对标新加坡“裕廊岛”。裕廊岛,成就了不产一滴油的新加坡,成为世界第三大炼油国。
中国版“裕廊岛”,将成就没有一家炼厂的烟台成为山东省唯一拥有2000万吨炼化一体项目的城市!
裕龙岛,融合裕廊、龙口之意,石化产业造城寓意深远。

南山集团图片

 
  


